Notícias
IA aplicada à Indústria 4.0
IPT coordena esforços de instituições de pesquisa e empresas para implementar pesquisa em IA voltada à Indústria 4.0
IPT coordena esforços de instituições de pesquisa e empresas para implementar pesquisa em IA voltada à Indústria 4.0
Projeto estuda possibilidade de desinfecção de respiradores PFF2, em uma parceria entre IPT, HC, USP e Fundacentro
Laboratório do IPT realiza monitoramento dos gases efluentes de um dos altos-fornos da ArcelorMittal
Laboratório do IPT desenvolve método para determinação de teor de etanol em desinfetantes para mãos
IPT, USP e startup PluriCell estudam sistema de cultivo de células-tronco humanas para obtenção de cardiomiócitos
58 milhões em nove projetos de P&D&I foram aprovados em linha do Programa Rota 2030; IPT é o coordenador técnico
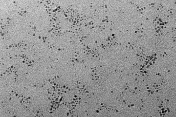
IPT e empresa Cecil desenvolveram nanopartículas de cobre com tecnologia e matéria-prima 100% nacionais
IPT participa de projeto da USP para desenvolver formulação inalatória destinada ao tratamento da Covid-19 e doenças pulmonares
Produtos como tintas e tecidos, à base de nanopartículas de cobre, são alvo de parceria entre o IPT e a empresa Cecil
Laboratório do IPT abre inscrições para programa que ajuda empresas a melhorar confiabilidade metrológica